REQUEST A TOUR If you would like to see this home without being there in person, select the "Virtual Tour" option and your agent will contact you to discuss available opportunities.
In-PersonVirtual Tour

Listed by Chamberlain Chesnut Real Estate
$ 399,000
Est. payment /mo
New
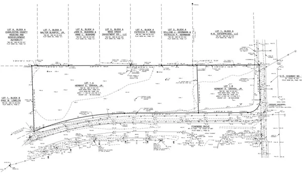
3219 Pinewood Dr Ladson, SC 29456
1.15 Acres Lot
UPDATED:
Key Details
Property Type Vacant Land
Listing Status Active
Purchase Type For Sale
MLS Listing ID 25029909
HOA Y/N No
Lot Size 1.150 Acres
Acres 1.15
Property Description
BUILDERS! This is an opportunity for a single family housing housing project consisting of 7 fully entitled single family lots. Two parcels come with the sale totalling 1.15 acres. All 7 lots will be served by NCDS and CWS. The property has already gone through Charleston County Major Subdivision approvals, and received all approvals and permits such as czc, ms4, driveway permits, npdes, etc. The site is ready for site work and vertical construction. Pad sizes on the larger 4 lots are 38'x60', and pad sizes on the 3 front lots can be a variety of sizes such as 32'x36', or 22'x60', or 24'x50'. The site plan is reflecting small landscaped bioswales, not ponds.
Location
State SC
County Charleston
Area 32 - N.Charleston, Summerville, Ladson, Outside I-526
Schools
Elementary Schools Ladson
Middle Schools Deer Park
High Schools Stall
Others
Acceptable Financing Cash, Conventional
Listing Terms Cash, Conventional
Financing Cash,Conventional
GET MORE INFORMATION



